【2028年開業予定】鴻巣市に道の駅が誕生!『道の駅こうのす』の最新情報と注目ポイントまとめ【開店】
2025年6月時点の現地の様子。


埼玉県鴻巣市箕田地区にて整備が進められている『道の駅こうのす』は2028年の開業を目指す新たな地域拠点です。
(建設工事は2027年度の完了を予定)
2025年3月には施設の名称が『道の駅こうのす』に正式決定し、2025年4月にはイメージ図も公開されました。
現在、熊谷バイパス沿いで工事が進行中となっています。
『道の駅こうのす』の主な機能

※出典:[鴻巣市]
現時点で『道の駅こうのす』は、以下のような機能を備える予定となっています。
- 農産物直売所:地元の新鮮な野菜や果物を販売予定。地域の農業を応援する拠点に。
- 飲食施設:地元食材を活かしたグルメを提供。鴻巣ならではの名物料理にも期待。
- 観光案内所:鴻巣市および周辺地域の観光・イベント情報を発信。
- 休憩スペース:ドライバーや観光客が立ち寄れる憩いの場。お手洗いやベンチを完備。
- 地域交流スペース:イベントやワークショップなど、地域と人をつなぐ多目的空間。
この辺りは一般的な道の駅と近しいものがありますが、地域の魅力を発信し、訪れる人々にとって魅力的なスポットとなることを目指しているようです。
地域の魅力発信や、活性化に期待される新施設ですね。
今回新たに公開された『道の駅こうのす』の新イメージ画像がこちら!
現在建設が進められている『道の駅こうのす』。
2025年4月にはイメージ図も公開され、その概要がより掴みやすくなってきました。



今回の情報で分かった事としては、
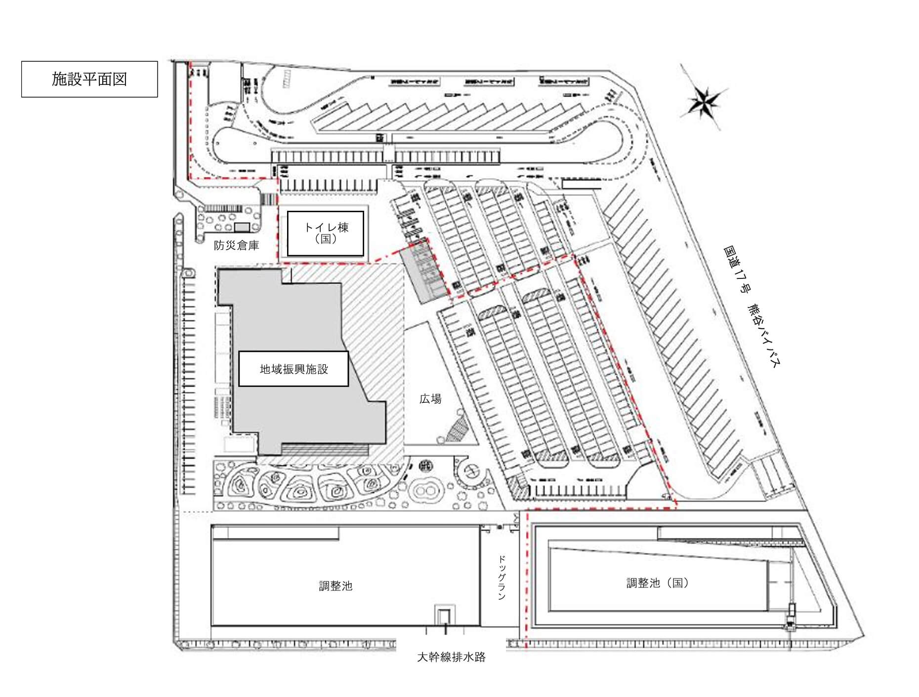
- 広大な敷地と駐車場: 敷地面積は約40,000平方メートルで、駐車場は小型車260台、大型車47台を収容可能。
- 地域振興施設: 約2,570平方メートルの建物内には、販売・飲食施設、情報発信コーナー、多目的室、キッズスペース、事務室、トイレなどが配置される予定。
- 屋外施設: 広場やドッグランが設けられる。
地域の農産物や特産品を活用した販売・飲食施設が計画されており、地元経済の活性化が期待されますね!
また、情報発信コーナーや多目的室、キッズスペースなど、多様な利用者のニーズに応える施設構成となっています。
さらに、広場やドッグランの設置により、家族連れやペット連れの訪問者にも配慮された設計が見受けられます。
▼配置図

※出典:[鴻巣市]
2028年の開業を目指す新たな道の駅『道の駅こうのす』。
どんな施設になるのか楽しみですね!
住所:埼玉県鴻巣市箕田
※掲載の記事は、2025年4月時点の情報となります。
「のりすけ」さん情報提供ありがとうございました。
※※情報提供はこちらから※※
毎日、皆様からの情報提供をお待ちしております。
下記の画像をクリックすると、情報提供が出来ます!
「ツイッター」「インスタグラム」も日々更新中!フォローして頂けると元気になります!































